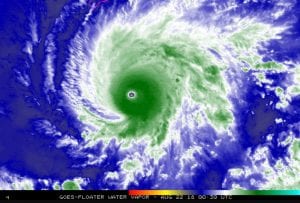
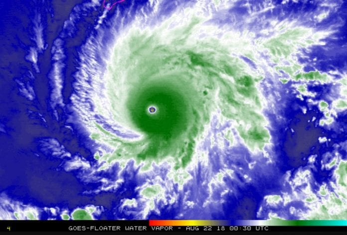
O Centro de Furacões do Pacífico Central está monitorando o furacão Lane que atingiu nesta quarta-feira (22) a categoria 5, a máxima possível, na escala Saffir-Simpson que mede a velocidade e escala dos furacões.
O serviço de meteorologia alertou que o Lane pode provocar chuvas torrenciais, inundações e deslizamentos de terra. Pelas informações do National Weather Service, os avisos e alertas estão em vigor para Maui e Oahu, incluindo Honolulu.
De acordo com os dados mais recentes, o centro do furacão Lane vai passar bem perto ou sobre as principais ilhas do Havaí, entre esta quinta-feira e sábado. Ele está a 565 quilômetros da capital havaiana, Honolulu, mas os seus ventos têm velocidades máximas de 257 quilômetros por hora. A previsão é de que o olho do furacão passe perto da Ilha Grande e Maui na quinta-feira, com ventos e chuvas fortes e grandes ondas.
Segundo as autoridades, este pode ser o primeiro furacão, em 30 anos, a atingir o Havaí.

A imagem de satélite desta quarta-feira (22), mostra o furacão Lane no Oceano Pacífico, ao sul do Havaí (Foto: NASA via AP)



